Bor, mámor, Kadarcs…
Lassan vége a májusnak és a felpörgött versenyszezon, talán képes lesz kicsit lassítani. Már három igen erős versenyen vagyok túl, nem holmi buli versenyről van szó, olyanokra már elvből nem járok… Szóval kivett belőlem rendesen erőt a sok verseny, különösen a legutóbbi a megyei csapatbajnokság után, talán most jött helyre a bal kezem valamennyire.. Akkor most a jól megérdemelt pihenés következzen, se versenybírót, se jegyzőkönyvet, se limitedényt nem akarok látni…
Kadarcs te csodás tó alig vártam, hogy felállíthassam a ládámat és betolhassam a rakóst, végre már… Tényleg szokatlan, sehol szektorok, sehol versenyzők, csak a víz hullámzik a szemem előtt és várom a kapást. Jó ez így, most ez jár nekem meg a fanyar félszáraz bor amit csendesen iszogatok a ládán, ez még estig kimegy és ezen ízek az Irsay Oliver fajtájú szőlőből páratlanok.. Ezt már nagyon hiányoltam a stressz mentes övezetet, ahol nem kell izgulni a kapásért és a grammokért, semmiért sem..
Az úszó elkezd sétálni és végre bemutatkozik egy ponty nekem így reggel a hideg szélben, kezdődik.. Sietve engedem vissza, felőlem egész nap is jöhetnek nem zavar a sok kapás.
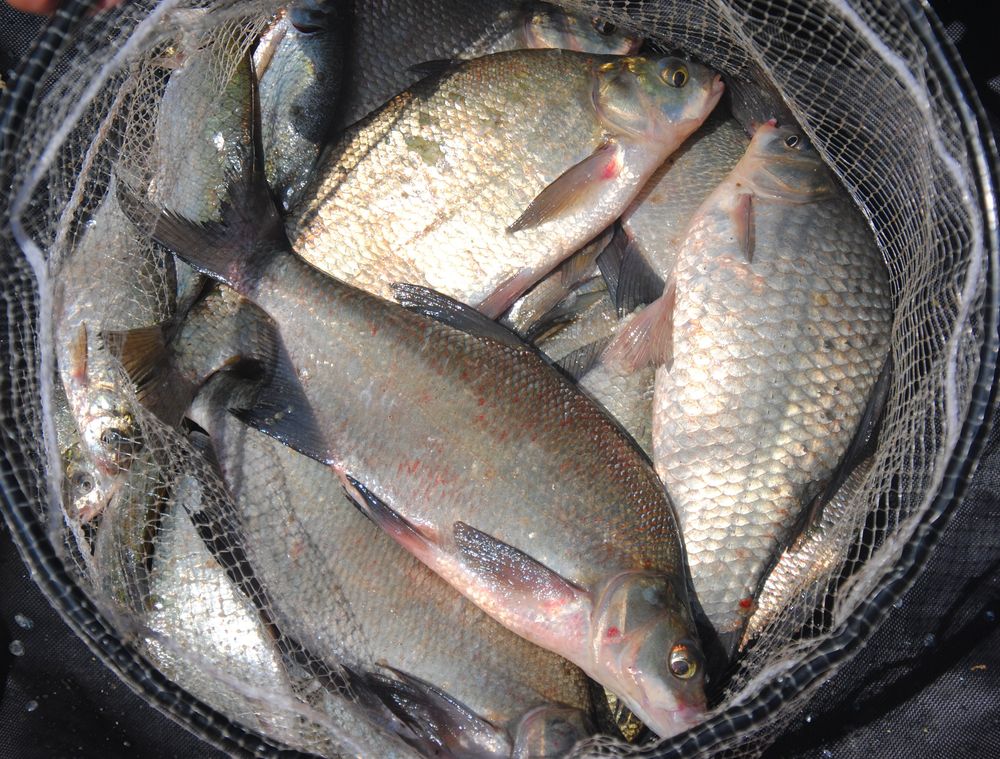
Fogok keszeget, kárászt, kispontyot, már amíg a szél engedi.
Egy idő múlva olyan erővel fúj jobbról, hogy jobb lesz letenni a rakót, kár volna törni ezt a botot, inkább pihenjen, van más módszer is a horgászatban.
Akkor hát ekkora hullámzásban legyen feeder az váltja a rakóst és etetéssel kezdek. Elég is tíz dobásnyi, azt se nagy kosárral teszem, mindössze húsz méterre és már húzza is. Pont ott van kifürödve az alja a tónak, úgyhogy aki innen nagyot dobna, az nem volna bölcs ötlet. Átkozott egy pörgős peca veszi kezdetét, dévér invázió van kérem!
Egymás után szákolom a szép dévéreket és jól érzem magam, a vad szél hasít, ezért a pulóver csak nagy sokára kerül le rólam, de igenis nagyon élvezem ezt a szabad felhőtlen pecát!
Mire délután lesz, az etetőanyag elfogyik és lehet pakolni elfelé. A bor íze már csak reggeli emlék marad számomra és a keszeg nyálka hagy nyomot a pulóveren, mára ennyi volt a pihenés…
Milyen érdekes a barát szó és mennyi jelentése is van.. A telefon megszólal és meghívást kapunk Frici barátomtól és Családjától egy kávéra, ami aztán a Kadarcs partján, jó sokáig szokott tartani… Lám csak a napnak nincs vége a Kadarcson, simán folytatódik tovább csak a pecának lett vége, de az élet és annak szeretete megy tovább…
Harangi Csaba










